Racordarea sediului Primăriei Focșani și a panourilor fotovoltaice, pe masa aleșilor locali luni, 9 februarie 2026
Focșaniul își consolidează infrastructura energetică: proiect suplimentar introdus pe ordinea de zi a ședinței extraordinare a Consiliului Local
Un proiect suplimentar a fost introdus pe ordinea de zi a ședinței extraordinare a Consiliul Local al Municipiului Focșani, convocată pentru luni, 9 februarie 2026, proiect care vizează racordarea la rețeaua electrică a sediului Primăriei Focșani și a sistemului de panouri fotovoltaice aferent.
Inițiativa face parte din demersurile autorităților locale de creștere a performanței energetice a clădirilor publice și de reducere a costurilor de funcționare, în contextul tranziției către surse regenerabile de energie.
Proiect cu documentație tehnică avansată
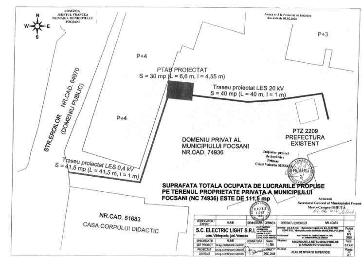
Potrivit documentelor tehnice aferente investiției, racordarea va fi realizată în baza Avizului Tehnic de Racordare (ATR) emis de Distribuție Energie Electrică România – Sucursala Focșani, fiind prevăzute lucrări complexe de infrastructură electrică, atât pe medie, cât și pe joasă tensiune.
Investiția vizează un amplasament situat în zona centrală a municipiului Focșani, pe strada Dimitrie Cantemir, în imediata vecinătate a sediului administrativ, într-o zonă construită protejată, fapt ce impune respectarea unor condiții stricte din punct de vedere urbanistic și tehnic.
Ce presupune concret investiția
Conform memoriului tehnic, proiectul prevede:
-
racordarea locului de consum și de producere „Sediu Primărie și panouri fotovoltaice”;
-
realizarea lucrărilor în subteran, cu refacerea zonelor afectate;
-
montarea unui post de transformare 20/0,4 kV;
-
realizarea prizelor de pământ și a instalațiilor de protecție;
-
integrarea producției de energie din surse regenerabile în rețeaua publică.
Puterea absorbită a obiectivului este estimată la peste 200 kW, iar energia produsă de panourile fotovoltaice va contribui la eficientizarea consumului energetic al instituției.
Decizie cu impact pe termen lung
Introducerea acestui proiect suplimentar pe ordinea de zi indică urgența și importanța strategică a investiției pentru administrația locală. Proiectul urmează să fie supus votului consilierilor locali, iar aprobarea sa ar permite continuarea procedurilor administrative și tehnice necesare demarării lucrărilor.
Autoritățile mizează pe faptul că investiția va aduce beneficii directe bugetului local, dar și un exemplu de bună practică în ceea ce privește utilizarea energiei verzi în clădirile publice din Focșani.
Eduard Popescu














